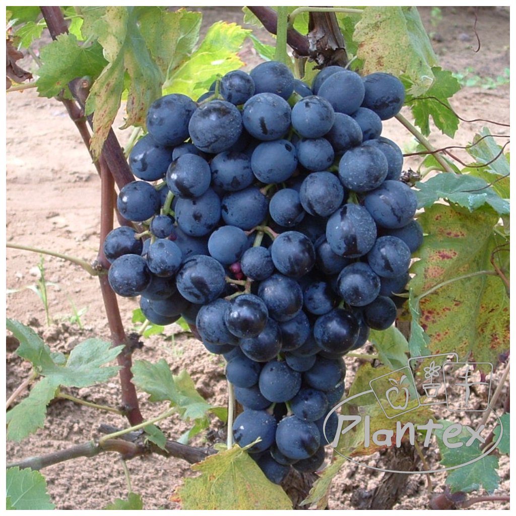
VINIČ CONEGLIANO (STOLOVÝ, REZISTENT)
Vyšľachtený bol v Taliansku z odrôd Muscat Italia x Volta. Rastie stredne silne a má vysokú úrodnosť. Dozrieva začiatkom augusta. Odroda je vhodná tak na priamy konzum ako aj na spracovanie.
-
Botanický názov - Vitis Vinifera Conegliano -
Miesto pre pestovanie - na polohu je odroda stredne náročná, vyhovujú jej teplé lokality s dostatočným oslnením. Jednoročné výhony sa skracujú rezom na 6 – 8 očiek
-
Opeľovanie - samoopelivá -
Mrazuvzdornosť - mrazuvzdorná -
Plod - strapce sú stredne veľké, 300 - 450 g, valcovité, stredne husté. Bobule sú veľké, v priemere 5,5 g, guľaté až mierne oválne. Šupka je tenká. Dužina je chrumkavá, mäsitá a šťavnatá. Chuť je príjemná, aromatická -
Dozrievanie - VIII. -
Skladovateľnosť - je vhodná na skladovanie -
Výška pri dodaní - cca 90 - 100 cm, zakorenená rastlina v kontajneri
Dodatočné parametre
| Kategória: | Viniče |
|---|---|
| EAN: | 9905594129506 |
| ? Bezsemenný: | NIE |
| ? Dozrievanie: | Skoré |
| ? Farba: | Modré |
| ? Muštové: | NIE |
| ? Rezistent: | ANO |
| ? Stolové: | ANO |
| ? Do chladných oblastí: | NIE |
| Položka bola vypredaná… | |
Buďte prvý, kto napíše príspevok k tejto položke.
Len registrovaní používatelia môžu pridávať príspevky. Prosím prihláste sa alebo sa zaregistrujte.
Súvisiaci tovar
Hnojivo na vinič obsahuje veľmi nízky obsah chlóru. vďaka optimálnemu pomeru živín spĺňa požiadavky zdravého vývoja a silného rastu...
Klasický univerzálny záhradný substrát na báze rašeliny a kompostov. Je vhodný pre pestovanie zeleniny, kvetín, okrasných a iných...
Viaczložkové minerálne hnojivo na vinnú révu. Pred sadením hnojivo vytvára optimálne podmienky pre rast rastlín. Hnojenie...
Jarné mrazy nemusia byť pre vás už strašiakom. Účinným pomocníkom v boji proti mrazom vám môže poslúžiť naša profi protimrazová...
Jednoručné nožnice FELCO 160L sú vyrobené vo Švajčiarsku a spájajú v sebe tie najvyššie znaky kvality. Nadchnú predovšetkým...
Kryštalické hnojivo štartovacie je vodou rozpustné hnojivo určené na výživu všetkých druhov rastlín na začiatku ich vegetačného...
Peletovaný kravský hnoj, ktorý je vhodný na univerzálne použitie a hnojenie v celej záhrade - na kvety a okrasné rastliny a na...
Modrá skalica je meďnaté hnojivo, ktoré je určené na doplnkovú výživu poľnohospodárskych plodín s vyššími nárokmi na uvedený prvok...
Draselná soľ je minerálne hnojivo vhodné k základnému hnojeniu širokého okruhu plodín. Vzhľadom na svoje zloženie sa hodí k...
Horká soľ je rýchlo pôsobiace horečnaté hnojivo, ktoré odstraňuje nedostatok horčíka v pôde. Hnojivo je možné použiť na konifery,...
Podobné produkty
Bezsemenná stolová odroda viniča, známa tiež pod názvom ´Sultanina´. Je to stredne skorá odroda, dozrieva koncom augusta až...
Nenáročné, mrazuodolné stolové hrozno dozrievajúce začiatkom septembra. Strapce sú veľké, plné, fialovočervené s veľkými chrumkavými...
Stará muštová odroda, pochádzajúca z Karpatskej kotliny, pestovaná dnes na plochách v Maďarsku, Slovensku, v Českej republike a v...
Extrémne chutná odroda s veľmi skorým dozrievaním. Bobule sú žltej farby. Odroda je mrazuvzdorná je do -10 °C. Kvôli nízkej...
Obľúbená, bezsemenná skorá odroda, dozrieva postupne začiatkom augusta. Voči chorobám je odolná. Strapce sú stredne veľké,...
Odroda vyšlachtená v Rusku. Dozrieva v polovici septembra. Má silny rast. Strapce má veľké 600 - 800 g. Bobule sú tiež veľké 26x20...
Táto odroda je bezsemenným trojitým krížencom medzi slovenským novošľachtencom Ceaus roz × Delight a moldavskou bezsemennou odrodou...
Vinič 'Saba' je maďarská odroda bezsemenného viniča s muškátovou príchuťou. Jej biele bobule sú mimoriadne chutné, chrumkavé,...
Staršia odroda pochádzajúca z Talianska, so silným rastom. Strapce sú veľké (600 - 800 g), valcovo-kužeľovité, veľmi husté. Bobule...
Rezistentná stolová odroda viniča pôvodom z Maďarska. Patrí medzi skoré, dozrieva už v druhej polovici augusta. Bobule sú veľké,...
-3.png)